关于实施景升南街、景升北街单向通行道路交通标线调整公告
经肇庆市公安局交警支队第三大队、肇庆高新区市政建设事务中心批复,施工单位将于2025年5月3日至5月10日对景升南街、景升北街(曙光街至迎宾大道路段)进行交通标线施划作业,为进一步规范道路交通秩序,提高通行效率,景升南北街与四会元塘路行车走向一致,决定对景升南街、景升北街(曙光街至迎宾大道路段)车行道调整为单向通行,施工完成后,景升南街将调整为单向行驶(由西向东方向通行),景升北街将调整为单向行驶(由东往西方向通行),禁止车辆逆向行驶。
施工期间,请过往车辆及行人注意避让,减速慢行。标线施划完成后,请严格按照新的交通标志、标线指示通行。对违反单向行驶规定的车辆,交警部门将依法予以处罚。
感谢广大市民的理解与配合!
肇庆高新区人居环境建设和管理局
肇庆市公安局交警支队第三大队
肇庆高新区市政建设事务中心
2025年4月30日

景升南街、北街效果图

交通平面设计图-1

交通平面设计图-2

交通平面设计图-3

交通平面设计图-4

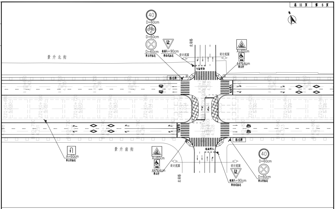
交通平面设计图-5

交通平面设计图-6

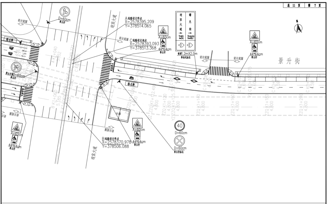
交通平面设计图-7
资料来源 肇庆高新区人居环境建设和管理局
肇庆高新采编中心编辑部
编辑 詹咏杰
二审 郭晓琳
三审 向阳
订阅后可查看全文(剩余80%)